先週の定期検診で、次は股関節のレントゲンを撮りましょうという事になったもいちゃん。
2週は待ちきれないし、肛門腺も絞ってもらいたかったので1週間後の今日に予約をとった。
待合室でも「抱っこして」のもいちゃん>^o^<
大きな赤ちゃんね〜(^_-)
何やら新しい機材が!
レントゲンを撮る際に、ワンちゃんの体重や撮影箇所を入力すると、より的確に撮れるらしい。
うちの先生は、こういう最新の機材をどんどん取り入れるんだよ(^o^)v
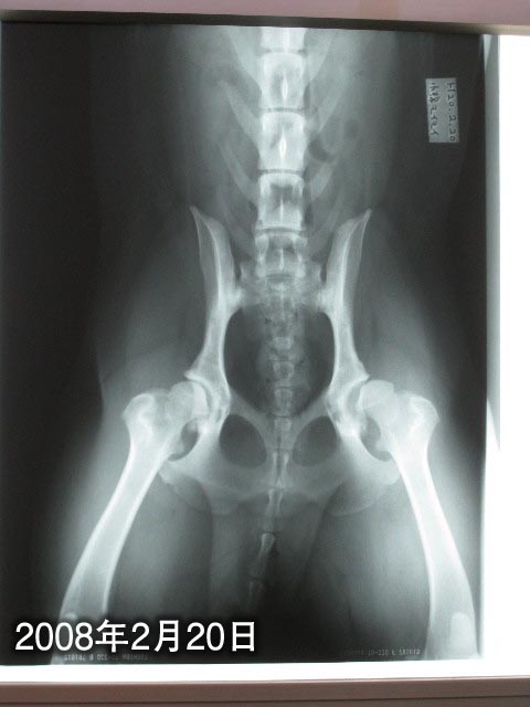
本日のもいちゃんの股関節。
あれ〜、前回より左(画像向かって右)がよくない?
また亜脱臼気味??
先生の説明によると、亜脱臼気味ではあるけれど前と比べて特に悪くなったというわけでもないみたい。(良くもなっていないけど)
麻酔をかけて撮っているわけではないので、多少動くし思いっきり引っ張る(脚を伸ばす)事もできないし、当然角度も違ってくる。
“股関節症”などにはなっていないので、このまま様子をみましょうとのこと。
股関節を動かした時の、コキコキ音は前よりずっとしなくなったしね。
もいちゃんももうすぐ2歳。(今は1歳10ケ月)
2歳くらいでだいたい股関節の状態ができ上がるらしいから....少しでも良い方向になってくれるといいなぁ....。
このところ気を抜いてしまっていたけど、もいちゃんの負担が少ないようまたダイエット頑張らないとね!
肛門腺を絞ってもらっているベベ。ちょっとだけ迷惑そうなお顔をしているけどとっても良い子!
べべって、たとえば治療とか、歯磨きとか、パッドの間の毛のカットとか、お耳掃除とか、爪切りまでもなんでもされるがままなんだよ(*^~^*)
べっちゃんママがそうだったからね★('-^v)
もにもに成長日記♪...あいばろ〜ず7頭一緒♪